- Home
- Residents
- City Projects and Planning
- Broadway Avenue Complete Street Corridor Project
Broadway Avenue Complete Street Corridor Project
Introduction & Project Description
The Broadway Avenue Complete Streets Corridor Project will make Broadway safer and easier to use for everyone.
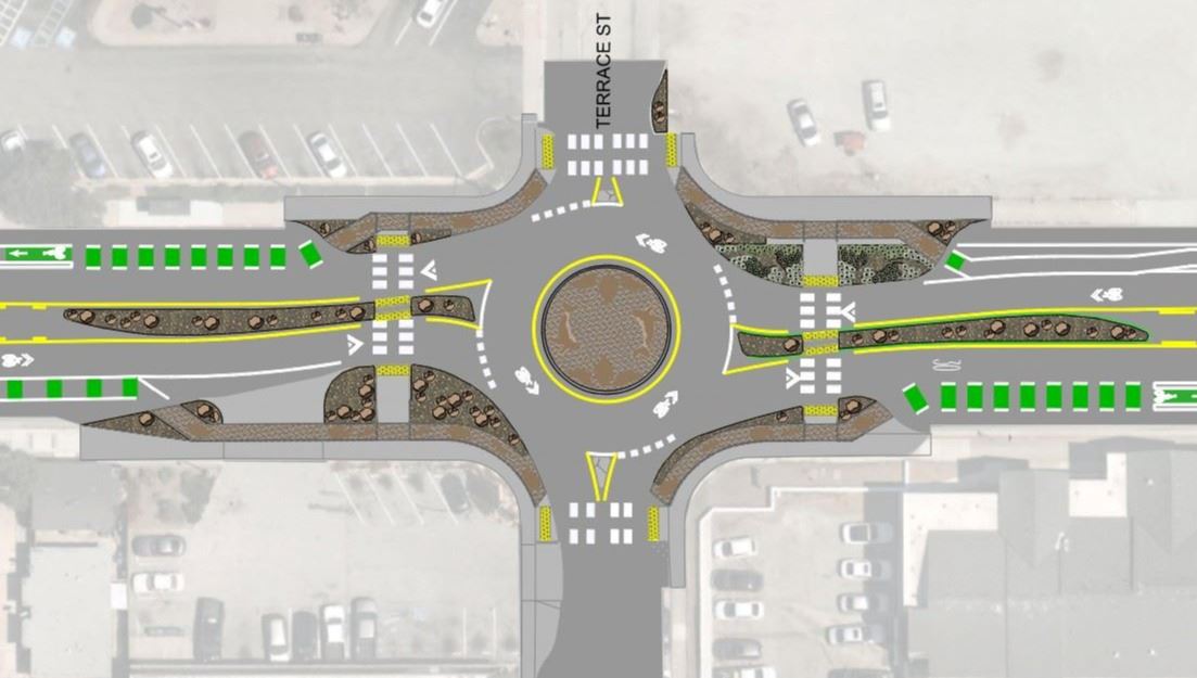
Right now, Broadway has four lanes between Fremont Boulevard and General Jim Moore Boulevard. The project will change it to two lanes. This is called a “road diet.” It helps slow down traffic and reduce crashes.
What Improvements Are Coming?
The project will include:
- Curb extensions to shorten crossing distances
- Protected and buffered bike lanes
- Roundabouts to improve traffic flow
- Safer crosswalks, including offset crosswalks
- Rectangular rapid flashing beacons (flashing lights to alert drivers)
- Accessible features for people of all abilities
These changes will help prevent speeding, sideswipe crashes, and broadside collisions. Broadway is often used by children and seniors, so improving safety is a top priority.
Better Bike Connections
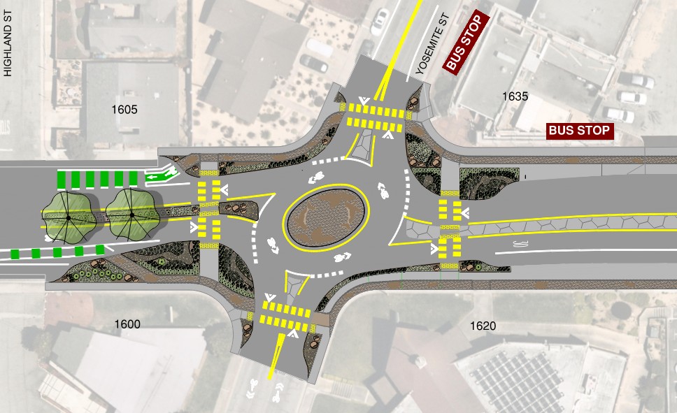
The new bike lanes on Broadway will create Seaside’s first continuous east-west bike route across the city. This will connect neighborhoods and make it safer to bike to school, work, and parks. New bike markings and Safe Routes to School improvements will also be added on Yosemite Street between San Pablo Avenue and Wanda Avenue.
Education and Community Programs
The project also includes community events and education programs. These programs will encourage people to walk and bike more often.
Activities will focus on:
- - Elementary school students
- - Low-income families
- - Seniors
- - Local businesses
There will also be a special open streets event designed for youth, families, and seniors to practice safe biking and walking. This part of the project will be managed by the Transportation Agency for Monterey County (TAMC). More information is available on their Safe Routes to School website.
The City of Seaside received grant funding to design and build this project.
When complete, the project will:
- Slow traffic
- Reduce air pollution
- Improve safety
- Make Broadway and Yosemite more welcoming and useful for everyone
This project will help improve the quality of life for people who live, work, and visit Seaside.
3/24 OPEN HOUSE
Presentation & Exhibits
Intersection Improvement Renderings
Presentation Videos YouTube Links
- Transit Bus Drone Footage
- Fire Engine Drone Footage
- MLK Pick Up Project Simulation (8 minutes)
- MLK Drop Off Project Simulation (6 minutes)
Existing Conditions YouTube Links
- April 2026 - Project Out to Bid
- June 2026 - Construction Contract Award
- September 2026 - Ground breaking construction begins
- September 2028 - Construction complete
Active Transportation Program Grant Application Documents
FREQUENTLY ASKED QUESTIONS
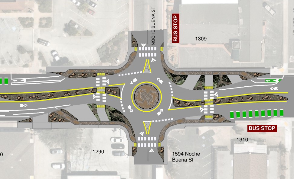
The existing parallel parking along Broadway Avenue will be preserved for the majority of the project corridor. Parking will be removed near the roundabout curb extensions to allow for shorter crosswalk lengths and to increase pedestrian visibility.
Why Broadway Avenue Was Chosen:
Safety concerns about Broadway Avenue were first shared in 2018. Parents from MLK Jr. School of the Arts, Highland Elementary School, and the International School of Monterey spoke up during a community outreach effort led by the City and the Transportation Agency for Monterey County (TAMC).
Many parents said they were worried about, Unsafe crosswalks, Lack of bike lanes, Cars driving too fast
Because so many people asked for safer streets, Broadway Avenue was chosen for a temporary “safe streets” demonstration project.
What the Community Said:
When people were asked what they liked most about the demonstration, most said they felt it made the street safer.
Not everyone agreed, though. Some people had concerns. The project team listened and made changes to improve the plan.
For example:
A roundabout was suggested at Broadway and Ancon Street. This would shorten crossing distances, slow traffic, and allow drivers to safely make a U-turn to enter the school parking lot.
It became clear that the Broadway and Yosemite intersection would need to work better if Broadway was reduced from four lanes to two. Because of this, the City recommended studying a roundabout at Yosemite Street to slow traffic and improve safety for people walking and biking.
Studying the Intersections:
The City later completed a Citywide Intersection Control Evaluation (ICE). This study looked at several intersections along Broadway, including:
• Yosemite Street
• Noche Buena Street
• General Jim Moore Boulevard
• Fremont Boulevard
After more study, it was found that adding roundabouts at Terrace, Yosemite, Noche Buena, San Lucas, Flores, Costa, and Mescal would make it possible to reduce lanes on Broadway. This lane reduction, called a “road diet,” would improve safety while still allowing traffic to move through the corridor.
Planning for the Future:
New housing is planned along General Jim Moore Boulevard on the north end of Seaside. This means more cars will likely use Broadway in the future.
The City included this expected increase in traffic in its 2020 study. The results showed that the best way to handle future traffic — while also keeping people safe — is to:
• Reduce Broadway from four lanes to two
• Add buffered and protected bike lanes
• Build roundabouts at major intersections
These changes will help create safer, lower-stress travel for children, adults, and seniors who walk, bike, or drive along Broadway Avenue.
Community feedback from 2018 showed that Broadway Avenue feels stressful and unsafe for people who walk or ride bikes. This is true for people of all ages and abilities. Most bike and pedestrian crashes happen at intersections along Broadway. Speed studies also show that many drivers are going too fast:
• The average speed is 35 miles per hour.
• The speed limit is 25 miles per hour.
• About 95% of drivers go over the speed limit.
• Many drivers travel close to 41 miles per hour.
This shows that speeding is a common problem on Broadway.
Roundabouts can help fix this. They slow down traffic and make crossings more visible and safer for people walking and biking.
The US Department of Transportation (USDOT) and Federal Highway Administration (FHWA) developed an overview of mini-roundabouts in 2010. It continues to be one of the top informational pieces on the subject. It covers almost every facet of their use and benefits. In 2010 FHWA encouraged agencies to install mini-roundabouts in as many locations and contexts as possible. Since then, FHWA has studied the use of mini-roundabouts and has reported favorably on them as a tool for safety and mobility improvements. See Youtube link: https://youtu.be/94h1TCK-yNs
Using roundabouts promotes transportation equity between all types of roadway users. This video (https://youtu.be/_H6zv2yKW1k) is an example of a mini roundabout in St. Paul, Minnesota along a corridor where bicycle and pedestrian mobility and safety is a high priority.
Bellevue, Washington recently converted two intersections to mini-roundabouts. The video (https://youtu.be/SQpjU7ZRCGs) describes the safety benefits of the mini-roundabout and how to use it. Bellevue, Washington has become recognized leaders in the deployment enhancement of mini-roundabouts.
Shakopee, Minnesota’s police department developed a how-to educational video for drivers to familiarize themselves with the benefits of mini-roundabouts and how to drive them. See Youtube link: https://youtu.be/idzt5hoDRhE
Trucks, buses, and emergency vehicles need to be able to use mini-roundabouts, too. This demonstration shows two mini-roundabouts in a downtown setting - https://youtu.be/lP7J-f9gZ2E. It demonstrates their use by truck drivers and the benefits of reduced speed for a built-up urban corridor.
Stormwater treatment areas will be provided in accordance with State and Local requirements. Landscape elements will be provided within the constraints of public right-of-way and budget considerations. Plant palettes will be determined in accordance with City policy, and with a preference for native, drought-tolerant plantings. Click here for a list of the plant and material palette.
Roundabouts are carefully designed to accommodate emergency and large sized vehicles. Drivers should behave in the same manner as they would on any other road if an emergency vehicle approaches: Yield to emergency vehicles in the roundabout, exit, and if possible, pull over.
The Broadway Avenue Complete Street project will maintain two travel lanes, a center turn lane, and parking lanes on both sides of the road. Cars will be able to pull the right side of the road, and emergency vehicles will have adequate width to navigate around them. The City and design team are working closely with the Fire Department on this design.
Please see the following resources for more information on Roundabouts and Emergency Vehicles:
- https://safety.fhwa.dot.gov/intersection/roundabouts/fhwasa14098.pdf
- https://wisconsindot.gov/Documents/safety/safety-eng/roundabouts/br-emergencyveh.pdf